Insight Horizon News

Your trusted source for comprehensive news and insightful analysis

environment

Do white spotted sawyer beetle fly?

Written by Sarah Martinez — 0 Views

Logs piled in the shade have far fewer beetle eggs as well. Shade, together with slash covers, is even better. At up to one inch long, the adults are big, clumsy fliers with oversized antennae and a tendency to plop down for a rest just about anywhere, making them easy to spot and catch on sunny summer days.

Do sawyer beetles bite?

The simple answer is, yes, they can. Beetles have chewing mouthparts so, technically, they can bite.

How long do sawyer beetles live?

In the northern portions of their range, they have a two-year life cycle. Adults are active from late May into early September. Prior to mating, adults maturation feed on twigs of host trees.

Are pine sawyer beetles bad?

These beetles are harmless to the environment. In fact, their larvae help break down the fibers of decaying trees which helps add nutrients back into the soil.

Where does the sawyer beetle live?

This beetle prefers conifer trees like pine, spruce, fir, and can be found in evergreen forests. They may also be found in areas where evergreen branches are freshly cut, like lumber yards. Females lay eggs on the tree and when the larvae hatch, they bore deeply into the wood of dead or dying trees.

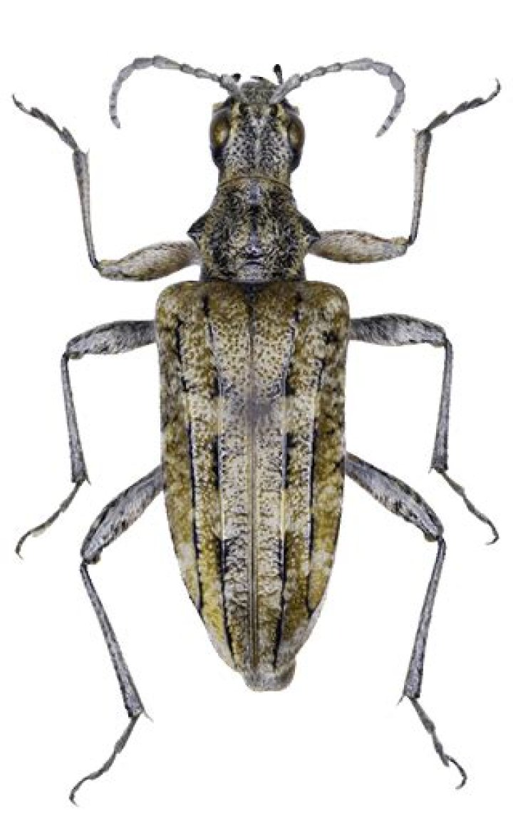
Sawyer Beetle/White-spotted Sawyer Beetle (Monochamus scutellatus) Longhorn Beetle (Spruce sawyer)

15 related questions found

Do beetles fly?

Beetles may not look like superheroes, but they sure fly like them. Unlike other winged insects, beetles soar with their legs outstretched, a posture that helps them maneuver and turn, a new study finds.

Why is it called a June bug?

June bugs derive their name from the fact that adult June bugs emerge from the soil at the end of spring or the beginning of the summer. Females bury their eggs just below the soil surface. June bug larvae hatch within 3 to 4 weeks and feed on grass and plant roots from several months to as long as three years.

Where are white-spotted sawyer beetles?

Also known as the pine sawyer or spruce sawyer, the white-spotted sawyer is a well-known native species. Found from Newfoundland to North Carolina and extending northwest to Minnesota and up into Canada and Alaska, this beetle is a conifer specialist.

Where do sawyer beetles come from?

Monochamus scutellatus, commonly known as the white-spotted sawyer or spruce sawyer or spruce bug, is a common wood-boring beetle found throughout North America. It is a species native to North America.

What do sawyer beetles do?

Sawyer beetles, or more accurately, their larvae, are responsible for extensive damage to dying, recently killed, and felled conifers of various species—but especially pines, spruce, true firs, and Douglas-fir. They rarely, if ever, attack vigorously growing green trees.

Can silverfish bite you?

Although silverfish have a creepy appearance and are occasionally mistaken for venomous centipedes, silverfish are not known to bite humans and do not carry diseases. ... While silverfish are harmless to the human body, they do cause damage to clothing, books, papers, food in pantries and wallpaper.

Do stag beetles fly?

Stag Beetles can fly - and often go out to look for a mate at dusk. You may see adult stag beetles on pavements, when they've landed from one of their distinctive upright flights, which sound a bit like a tiny fighter plane.

Do longhorn beetles fly?

They are shiny black with about 20 white spots on each wing cover and long antennae conspicuously banded black and white. These beetles can fly, but generally only for short distances, which is a common limitation for Cerambycidae of their size and weight. The upper sections of the legs of the adults are whitish-blue.

Do wood beetles bite humans?

It is very unlikely that common furniture beetles bite or sting, so they should not pose any health threats to humans or pets.

Do spruce bugs fly?

Male beetles emit a pheromone called fuscumol that synergizes the attraction of both sexes to the smell of stressed spruce trees. ... Adult beetles are capable of flying long distances, but most fly only a few hundred metres.

How long are beetles antennas?

Adults are shiny black in colour with irregular white spots and are large, ranging from 1.9 to 3.8 cm (0.75 to 1.5 inches) in body length. They have black antennae with white rings that are between 3.8 to 10.2 cm (1.5 to 4 inches) long.

Can a June bug fly?

May beetles, or June bugs, are usually brown, rusty, or black, without patterns such as spots or stripes, and rather hairy beneath. They are nocturnal and are attracted to lights at night. They walk and fly clumsily.

Why can't June bugs fly?

In order to fly, a beetle must open its elytra up to let the wings below move, which can be a very awkward way to fly. This system also means that they only have one set of wings doing the work, while the other is mostly getting in the way. In addition to all this, June bugs don't have a particularly aerodynamic body.

Are June bugs good for anything?

Although many people find June bugs unsettling, they play an important role in helping nutrients cycle through ecosystems. By chowing down on grass roots, June bugs concentrate nutrients into juicy (larva) and crunchy (adult) calorie-rich packages that are consumed by a variety of other organisms.

What does a pine sawyer beetle look like?

Identification and Descriptive Features: Adult pine sawyers are large black to brownish-gray beetles with white markings. The spotted pine sawyer (M. clamator) ranges between 14-24 mm in length and has forms with variable markings.

What is killing pine trees in South Dakota?

"The mountain pine beetle (Dendroctonus ponderosae) is a native insect and is the most significant cause of mortality in ponderosa pine in the Black Hills.

How big is a pine sawyer beetle?

Size: The northeastern pine sawyer adults are close to two inches in body length, and each antenna measures another two inches in the case of males and three inches in the case of females. It is the largest long-horned beetle we have in our region of the hemisphere.

What beetle Cannot fly?

Beetles that cannot fly

Saw-toothed grain beetles, Khapra beetles, spider beetles and the appropriately named ground beetles, are unable to fly.

What is a beetle fly?

The Celyphidae, commonly known as beetle flies or beetle-backed flies, are a family of flies (order Diptera). About 115 species in about 9 genera are known chiefly from the Oriental and Afrotropic biogeographic regions with one lineage in the New World.